estado do tempo
Hoy es thursday 18 de december, tenemos ºC y se prevé en Santiago
  • galego
  • español
  • english

Morus alba

Morus alba L.

Familia: Moráceas

Justificación del nombre:
El nombre del género procede del griego, que ha derivado al latino morus, el moral, el árbol, no la zarzamora.
Alba hace alusión al color blanco de sus infrutescencias, aunque también pueden ser de color vinoso.

Nombre común: Moral blanco, morera blanca
Caracterización: Arbolillo
Hoja: Caduca Plana Simple

Origen y distribución:
Originaria del Centro y Este de Asia (China, Manchuria, Corea), ampliamente cultivada desde antiguo en países cálidos, para utilizar sus hojas como alimento de los gusanos de seda, lo que ha determinado la permanencia asilvestrada de viejos árboles. Algunos ejemplares tienen infrutescencias de color vino.

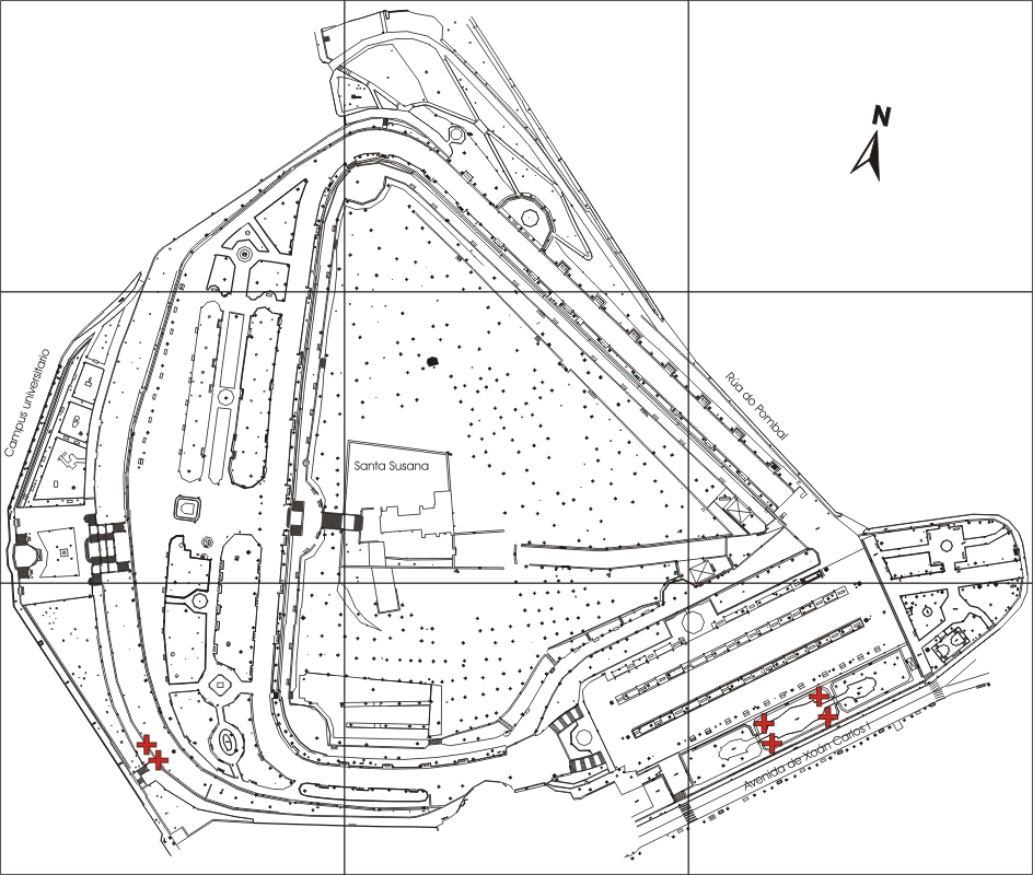
Localización en el jardín:
Hay dos ejemplares, macho y hembra, en el talud izquierdo de la bajada al monumento a Ventura Figueroa. Los ejemplares del estanque de Méndez Núñez pertenecen al cultivar ‘Pendula’.

Localización

Valoraciones: 3
¿Cuánto te gustó esta entrada?
¿Cuánto te gustó esta entrada?
  • 2.6666666666667
  • 1
  • 2
  • 3
  • 4
  • 5
Compártelo en: